Erick se convirtió en huracán categoría 4 hoy 19 de junio de 2025 informó la gobernadora Evelyn Salgado con datos de la Comisión Nacional del Agua (Conagua) al corte de las 00:30 horas.
La presidenta Claudia Sheinbaum emitió un mensaje a la población en Oaxaca y Guerrero, debido a que la trayectoria del huracán Erick pronosticó la entreda a México en las primeras horas de hoy jueves 19 de junio.
Estimaciones de la trayectoria del huracán Erick apuntan a que podría tocar tierra a las 02:00 horas del jueves 19 de junio.











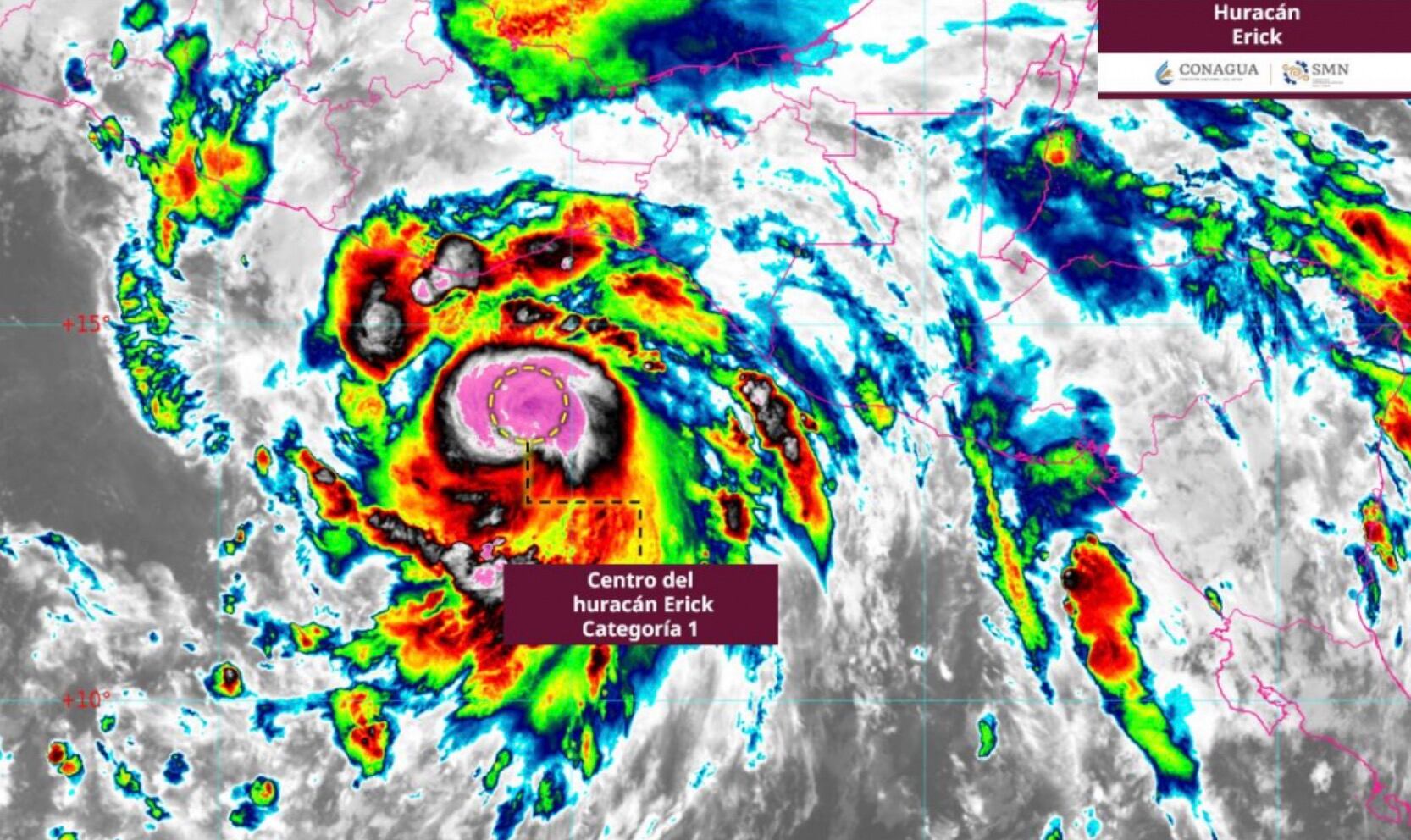
Huracán Erick hoy 19 de junio: Corte informativo de Conagua de las 00:30
A las 00:15 horas, tiempo del centro de México, el huracán Erick se intensificó a un huracán extremadamente peligroso de categoría 4 en la escala Saffir-Simpson, informó Conagua.
- Vientos máximos sostenidos de 230 kilómetros por hora (km/h)
- Rachas de 275 km/h
- Desplazamiento hacia el noroeste a 15 km/h
- Su ojo tiene un diámetro de 28 km
El huracán Erick categoría 4 se localizó aproximadamente a 65 kilómetros (km) al suroeste de Puerto Escondido, Oaxaca, y a 145 km al sureste de Punta Maldonado, Guerrero.
De acuerdo a su trayectoria prevista, el huracán Erick categoría 4 se localiza muy cerca de las costas de Oaxaca y Guerrero.
Conagua prevé que impacte durante la mañana del jueves 19 de junio como un poderoso huracán de categoría 4 entre:
- Lagunas de Chacahua, Oaxaca
- Punta Maldonado, Guerrero
Huracán Erick hoy 19 de junio: Categoría 4; Evelyn Salgado decretó alerta máxima para Guerrero
El huracán Erick alcanzó la categoría 4, informó la gobernadora Evelyn Salgado en los primeros minutos del jueves 19 de junio de 2025.
La gobernadora de Guerrero señaló que la nueva categoría representa riesgo máximo para la población del estados.
“Es fundamental seguir todas las recomendaciones de Protección Civil para proteger la vida y la seguridad de nuestras familias”
Evelyn Slagado, gobernadora de Guerrero
Evelyn Salgado destacó que el huracán Erick categoría 4 puede provocar:
- Daños graves en viviendas y estructuras
- Ruptura de ventanas, puertas y techos
- Lluvias muy intensas e inundaciones severas
- Desbordamiento de ríos y deslaves
- Afectaciones en caminos, puentes y servicios básicos
Huracán Erick hoy 18 de junio: Corte informativo de Conagua de las 22:00
Fabián Vázquez Romaña, director del Servicio Meteorológico Nacional de México, informó a las 22:00 horas del miércoles 18 de junio que el huracán Erick, categoría 3, avanza en la trayectoria prevista.
El huracán Erick se aproxima a la costa de Oaxaca con las siguientes características:
- Sus bandas nubosas ya están cerca de Puerto Escondido, Oaxaca
- Se anticipan lluvias torrenciales que persistirán durante la noche de hoy 18 de junio y la madrugada del 19 de junio
- Se estima que el huracán Erick toque tierra a la medianoche
- El huracán Erick tendrá vientos de 205 km/h y rachas de 220 km/h
- Se espera un rápido debilitamiento una vez en tierra
Fabián Vázquez Romaña enfatizó que con el huracán Erick habrá persistencia de viento, oleaje y lluvias muy severas en:
- Las costas de Oaxaca
- El este de Guerrero
- Algunas áreas de Chiapas
Huracán Erick hoy 18 de junio: Claudia Sheinbaum comparte mensaje para Guerrero y Oaxaca
Ante el inminente impacto del huracán Erick, categoría 3, la presidenta Claudia Sheinbaum emitió un breve mensaje para habitantes de Guerrero y Oacaxa.
La presidenta de México emitió en YouTube recomendaciones para las poblaciones de la zona de impacto del huracán Erick, fenómeno que tocaría tierra entre Lagunas de Chacahua y Puerto Escondido en las primeras horas del jueves 19 de junio de 2025.
- Resguardarse
- Mantenerse juntos en familia
- Trasladarse a albergues si se vive en bajos o cerca de ríos
Erick huracán hoy 18 de junio: alcanza categoría 3
El huracán Erick alcanzó la categoría 3 este miércoles 18 de junio de 2025.
El Centro Nacional de Huracanes de Estados Unidos informó del avance de categoría de Erick, huracán que amenaza al pacífico mexicano.
Con esto, el poder destructivo de Erick aumenta, por lo que permanecen las alertas en México.
Erick huracán hoy 18 de junio: Trayectoria confirmada por Claudia Sheinbaum; mensaje para Oaxaca y Guerrero
La presidenta Claudia Sheinbaum confirmó que Erick es un huracán categoría 2 y su trayectoria al 18 de junio de 2025 será entrar a México a través de las costas de Oaxaca y Guerrero las primeras horas del jueves 19 de junio.
“La Coordinación Nacional de Protección Civil informa que el huracán Erik ya es categoría 2 y entrará en las costas de Oaxaca y Guerrero en las primeras horas del jueves 19“, señaló la presidenta Claudia Sheinbaum.
Debido a la trayectoria del huracán Erick, Claudia Sheinbaum solicitó a la población en Guerrero y Oaxaca permanecer en sus hogares, pero si viven en zonas bajas o cerca de ríos acudir a un refugio.
“Se pide a la población permanecer en sus hogares, si vive en zonas bajas y cerca de cauces de ríos acudir a los refugios dispuestos. Se han suspendido clases y se alerta a la población. Plan DN-III-E y Marina están en marcha. Por favor estar atentos a la información oficial”
Claudia Sheinbaum, presidenta de México
Erick huracán hoy 18 de junio: Protección Civil emite alerta naranja en Guerrero y Oaxaca
A las 12:57 horas de hoy 18 de junio, Protección Civil emitió una alerta naranja en Guerrero y Oaxaca por el paso del huracán Erick, el cual escaló a categoría 2 en la escala Saffir-Simpson.
En este sentido, se explicó que se esperan vientos sostenidos de 155 km/h, rachas de 195 km/h y desplazamiento hacia el noroeste a 15 km/h.
Huracán Erick ya es categoría 2 rumbo a México
La Conagua confirmó que el huracán Erick se intensificó en categoría 2 después de las 12:30 de la tarde del miércoles 18 de junio.
Erick mantiene su trayectoria rumbo a México y provocará lluvias torrenciales a puntuales extraordinarias en Guerrero, Oaxaca y Chiapas.

Erick huracán hoy 18 de junio: Suspensión de clases
Durante la conferencia mañanera del pueblo del miércoles 18 de junio de la presidenta Claudia Sheinbaum Pardo, se informó que ante la llegada del huracán Erick, en el estado de Guerrero se suspenden clases en todos los niveles educativos hoy 18 de junio y 19 de junio.
Entre otras medidas de prevención como:
- Instalación del Consejo Estatal de Protección Civil
- Se habilitan hasta 582 albergues temporales completamente equipados
- El despliegue de un operativo de perifoneo en municipios costeros y de alto riesgo para evacuar a la población
- Se realiza una campaña permanente en redes sociales y medios de comunicación con información clara y recomendaciones preventivas
- Se cuenta con una red de mil 200 voluntarios para brindar apoyo en campo
- Se activó un protocolo de atención y evacuación de turistas
Del lado de Oaxaca, como acciones preventivas ante el huracán Erick, también suspendieron clases en 43 municipios del Istmo y la Costa de Oaxaca hoy 18 de junio.
Además de otras medidas como:
- Instalación de la sesión Extraordinaria del Consejo Regional de Protección Civil
- Despliegue de albergues y brigadas de apoyo por autoridades municipales
- Autoridades locales y federales ya se encuentran desplegados ofreciendo apoyo a la población
Erick huracán hoy 18 de junio: Alerta en Oaxaca y Guerrero
Por otra parte, en un nuevo pronóstico de la Conagua al corte de las 09:30 horas de hoy 18 de junio, las bandas nubosas del huracán Erick, categoría 1 y el arrastre de humedad que genera ocasionarán lluvias extraordinarias (mayores a 250 milímetros) en Oaxaca.
Así como torrenciales (de 150 a 250 mm) en Guerrero y Chiapas, viento de 120 a 140 kilómetros por hora (km/h), con rachas de 150 a 170 km/h en costas de Oaxaca y Guerrero.
Por lo que autoridades se mantienen en vigilancia desde el oeste de Acapulco hasta Técpan de Galeana, Guerrero, así como zona de prevención por efectos de tormenta tropical desde el este de Puerto Ángel hasta Salina Cruz, Oaxaca.
Huracán Erick hoy 18 de junio: Pronóstico y trayectoria en México
De acuerdo con el reporte más reciente del Servicio Meteorológico Nacional (SMN), la fuerza del huracán Erick se localiza a 255 km al sur-sureste de Puerto Ángel, Oaxaca, y a 440 km al sureste de Punta Maldonado, Guerrero.
El huracán categoría 1 registra vientos máximos sostenidos de 120 km/h, rachas de 140 km/h y se desplaza hacia el noroeste a 11 km/h.
Los estados más afectados por el huracán Erick serán Guerrero, Oaxaca y Chiapas, para los cuales el SMN pronosticó lluvias torrenciales a lo largo de este miércoles.
También se registrarán lluvias intensas en Michoacán, Estado de México, Puebla, Veracruz y Tabasco.
Sin embargo, la autoridad meteorológica mantiene zona de prevención por efectos de huracán desde Acapulco, Guerrero, hasta Puerto Ángel, Oaxaca.
Asimismo, estableció como zona de vigilancia por efectos de huracán desde el oeste de Acapulco hasta Técpan de Galeana, Guerrero, y desde el este de Puerto Ángel hasta Bahías de Huatulco, Oaxaca.

Huracán Erick hoy 18 de junio: Conagua alerta que podría subir de categoría antes de tocar tierra en México
La Conagua alertó las condiciones son favorables para una rápida intensificación del huracán Erick.
Por tanto, advirtió que no se descarta que el huracán Erick suba de categoría antes de ingresar a territorio nacional.
En su pronóstico de trayectoria, el SMN señala que Erick se intensificará al menos a categoría 2 para la medianoche de este jueves 19 de junio cuando su centro se localice a 100 km al sur-suroeste de Puerto Escondido, Oaxaca.
El Centro Nacional de Huracanes de Estados Unidos pronosticó que el huracán Erick provoque inundaciones repentinas “potencialmente mortales” en el sur de México durante esta noche y el jueves 19 de junio.